台风奥鹿
台风奥鹿是2022年第16号台风,2022年9月24日,台风“奥鹿”一直保持着强热带风暴级的强度稳定西行,昨晚开始它出现了爆发式增强,从强热带风暴级一直发展至超强台风级。
名称由来 编辑本段
为避免台风名称的混乱,1997年11月25日~12月1日,有关国家和地区在香港举行的世界气象组织(简称WMO)台风委员会第30次会议上决定规范台风的命名,其中,西北太平洋和南海的热带气旋,采用具有亚洲风格的名字命名,其命名方法是:事先制定一个命名表,然后按照顺序年复一年地循环重复使用。该命名表即西北太平洋和南海热带气旋命名系统,该命名表共140个名字,由WMO所属的亚太地区的14个成员国和地区提供 。其中“奥鹿”一名是由韩国提供的名字,意为狍子。
发展历程 编辑本段
2022年9月23日,据今日头条消息,继23日上午台风“塔拉斯”生成后,下午2022年第16号台风“奥鹿”也生成了,“奥鹿”将以每小时15公里左右的速度向偏西方向移动,强度逐渐增强。
23日17时,菲律宾国家气象局发布预报称,2022年的第16号台风“奥鹿”强度轻微增强并持续西行,预计将于25日上午或下午在吕宋岛北部地区登陆。
9月24日消息,24日至25日,西南地区多阴雨,四川、重庆、云南、贵州等地的部分地区有小到中雨,局地大雨或暴雨;台风“奥鹿”将向西进入南海。
9月24日上午,2022年第16号台风“奥鹿”已加强为强热带风暴级,上午8时其中心位于北纬16.3度、东经128.3度,在菲律宾马尼拉东偏北方向约810公里的洋面上,中心附近最大风力10级(25米/秒),预计,“奥鹿”将以每小时20~25公里的速度向偏西方向移动,强度逐渐增强,25日下午到夜间穿过菲律宾吕宋岛北部进入南海中东部海域;尔后继续向偏西方向移动,掠过海南岛以南海面向越南中部沿海靠近,强度明显增强,最强可达台风级或强台风级(13~14级,38~42米/秒)。
9月24日15时,国家海洋预报台发布海浪消息:受2022年第16号台风“奥鹿”(强热带风暴级)和冷空气的共同影响,预计9月26日至28日,南海将出现一次巨浪以上过程。
当地时间9月25日消息,菲律宾国家气象局称,台风奥鹿已达到超强台风级别。
9月25日消息,第16号台风“奥鹿”预计将于25日晚间在菲律宾奎松省北部或奥罗拉省南部登陆,或于25日下午在波利略岛登陆。在登陆时的风力可能达到每小时185公里至205公里。
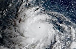
2022年9月24日,台风“奥鹿”一直保持着强热带风暴级的强度稳定西行,昨晚开始它出现了爆发式增强,从强热带风暴级一直发展至超强台风级。今早8点,其中心位于菲律宾马尼拉偏东方向约295公里处,中心附近最大风力已有62米/秒。另外,相较昨天,“奥鹿”的路径向南调整,基本上排除在海南登陆的可能,不过南海及华南沿海仍要警惕风雨天气的不利影响。
预计,超强台风“奥鹿”将以每小时20公里左右的速度向偏西方向移动,将于今天傍晚到夜间在菲律宾吕宋岛登陆(58~65米/秒,17级或17级以上,超强台风级),穿过吕宋岛后,强度有所减弱,并于26日早晨进入南海中部偏东海域,逐渐向越南东部沿海靠近,强度有所加强,将于28日凌晨到上午在越南东部沿海登陆(48~52米/秒,15~16级,强台风级或超强台风级),登陆后强度快速减弱。
2022年9月25日16时,国家海洋预报台发布海浪黄色警报:受今年第16号台风“奥鹿”(超强台风级)和冷空气的共同影响,预计:9月25日夜间至26日白天,南海中东部将出现5到8米的巨浪到狂浪区,近海海域海浪预警级别为黄色。请在上述海域作业的船只注意安全,沿海各有关单位提前采取防浪避浪措施。
2022年9月25日17时30分左右,据菲律宾国家气象局消息,2022年第16号台风“奥鹿”在菲律宾奎松省布尔德奥斯市(Burdeos)登陆,登陆强度为超强台风级别。
2022年9月25日20时20分,菲律宾国家气象局发布消息称,2022年的第16号台风“奥鹿”在菲律宾奥罗拉省丁加兰市再次登陆,其强度减弱到台风级别。
2022年9月26日早晨,台风奥鹿由菲律宾吕宋岛移入南海中东部海面,早晨5点钟其中心位于中国黄岩岛东偏北方约195公里的南海中东部海面上,就是北纬15.6度、东经119.5度,中心附近最大风力有14级(42米/秒),中心最低气压为955百帕,七级风圈半径150-200公里,十级风圈半径80公里,十二级风圈半径40公里。
2022年9月26日,据今日头条消息,受冷空气和“奥鹿”的共同影响,26日08时至27日08时,福建沿海、广东沿海、海南岛东部沿海、台湾岛西部沿海以及台湾海峡、巴士海峡、南海大部海域、三沙群岛附近海域将有6-7级风,阵风8-9级,其中南海中部海域、西沙群岛和中沙群岛附近海域风力可达8-12级,阵风13-14级,台风中心经过的附近海域风力有13-16级,阵风17级及以上。
2022年9月26日,据菲律宾国家气象局消息,受2022年第16号台风“奥鹿”9月25日登陆影响,菲律宾布拉干省、奥罗拉省以及首都大马尼拉地区等多地遭遇强降雨,引发不同程度的洪涝灾害。
2022年9月26日上午,菲律宾大气地球物理天文局说,“奥鹿”维持台风强度,以每小时30公里的速度向西移动。
2022年9月26日,根据环球网消息,台风“奥鹿”预计将于9月29日凌晨进入泰国东北部的安纳乍能府和乌汶府地区。受台风“奥鹿”影响,28日起,泰国东北部地区将遭遇降雨和大风天气。之后,雨团将转移至泰国北部、中部、东部、曼谷及周边地区,按照台风的运动趋势,预计影响将持续到9月30日。
2022年9月26日14时,2022年第16号台风“奥鹿”(台风级)中心位于海南省三沙市(西沙永兴岛)东偏南方向约510公里的南海东部海面上。
2022年9月27日凌晨2点钟,据中央气象台网站消息,2022年第16号台风“奥鹿”在南海中部海面上再次加强为超强台风级,早晨6点钟其中心位于海南省三沙市(西沙永兴岛)南偏东方向大约145公里的海面上,就是北纬15.6度、东经112.7度,中心附近最大风力有16级(55米/秒),中心最低气压为930百帕,七级风圈半径200-280公里,十级风圈半径100公里,十二级风圈半径50公里。
2022年9月27日,据海南省气象台消息:2022年第16号台风“奥鹿”已于27日凌晨再次加强为超强台风级,7时中心在距离永兴岛偏南方向约140公里的南海中东部海面上,预计其将继续向偏西方向移动,27日经过西沙群岛南部海域,28日早晨到中午在越南东部沿海登陆。受“奥鹿”和弱冷空气共同影响,9月27日—28日,海南省将有一次强风雨天气过程;29日—30日,海南岛东半部地区仍将有较强降水。[26]海南省气象局9月27日9时30分发布暴雨三级预警:受台风“奥鹿”影响,预计未来24小时,海南海口、澄迈、定安、文昌、屯昌、琼中、琼海、万宁、陵水、保亭、五指山和三亚12个市县的大部分乡镇将出现50毫米以上降水,其中琼中和万宁的部分乡镇将出现100毫米以上降水,在此提醒有关单位和人员做好防范工作。[28]中央气象台9月27日10时继续发布台风黄色预警称,2022年第16号台风“奥鹿”(超强台风级)的中心27日上午9点钟位于海南省三沙市(西沙永兴岛)南偏西方向大约165公里的南海中部海面上,中心附近最大风力有17级(58米/秒),中心最低气压为925百帕,七级风圈半径200-280公里,十级风圈半径100公里,十二级风圈半径50公里。
2022年9月28日,据中央气象台网站消息,2022年第16号台风“奥鹿”的中心已于28日早晨4点30分前后在越南广南省岘港市附近沿海登陆,登陆时中心附近最大风力有14级(45米/秒,强台风级),中心最低气压为950百帕。28日,西南地区阴雨范围缩小,强度减弱,四川、重庆、青藏高原等地的部分地区仍有小到中雨,局地大雨;高海拔地区有雨夹雪或雪。
当地时间2022年9月28日上午,据越南自然灾害防治救援工作组的消息,包括越南广南省、嘉莱省、崑嵩省在内的多地变电站遭到损坏,出现停电,影响范围超过22万户居民。
预警预案 编辑本段
2022年9月26日11时,海南启动海洋灾害Ⅳ级应急响应。
2022年9月26日,受台风“奥鹿”的影响,菲律宾吕宋岛中部的新怡诗夏省宣布进入灾难状态。
根据《国家防汛抗旱应急预案》有关规定,国家防总于2022年9月26日12时针对海南、广东、广西、福建四省份启动防汛防台风四级应急响应。
2022年9月27日,据央视新闻消息,根据越南中部机场管理局的决定,受台风“奥鹿”影响,岘港、顺化、波来古、富吉和朱来机场将于9月27日至28日暂时关闭。
2022年9月28日,据海南省气象局消息,2022年第16号台风“奥鹿”于28日4时30分前后在越南岘港附近沿海登陆。海南省气象局28日6时许将台风三级预警降为台风四级预警。
防控工作 编辑本段
伤亡情况 编辑本段
附件列表
词条内容仅供参考,如果您需要解决具体问题
(尤其在法律、医学等领域),建议您咨询相关领域专业人士。
如果您认为本词条还有待完善,请 编辑
上一篇 云南民族运动会上的一匹得奖赛马走失,运动员发文求助 下一篇 华为Mate50

